Blogs
Twisters Past and Present: Interactive Tornado Tracker
Climate Central’s new interactive tornado tracker plots tornado reports for this season and during past years.
China’s Growing Coal Use Is World’s Growing Problem
China's recent accolades in renewable energy are distracting us from their fossil-fuel dominated reality.
Science Made Simple: Take the Dog for a Walk
A fun video uses a unique analogy to explain the important differences between weather and climate.
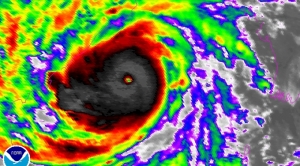
Monster Cyclone Phailin Poses Deadly Threat to India
Powerful Cyclone Phailin is poised to strike India with a deadly combo of storm surge and high winds.
Experts Debate Moral, Religious Case for Climate Action
A Tennessee philosopher and Christian environmentalist debate the moral imperative for action on climate change.
The Most Detailed Visuals of Hurricane Sandy, Revealed
Newly released visualizations provide the most detailed look to date of Hurricane Sandy's intensity.
Shutdown Silences Weather and Climate Social Media
The government shutdown has left federal climate and weather sites and social media accounts in the dark.
‘Atmospheric River’ Smashes Records in Pacific Northwest
A series of storms tapped into an "atmospheric river" to dump record amounts of rain in the Pacific Northwest.















